سطح مبنای ژئوئید

سطح مبنای ژئوئید

برچسب‌ها

سطح مبنای ژئوئید یکی از مفاهیم اساسی در علم جغرافیا، نقشه‌ برداری و علوم زمین‌ شناسی است. این سطح به‌ عنوان مرجع اصلی برای اندازه‌ گیری ارتفاع‌ ها و عمق‌ ها از آن استفاده می‌ شود و دقت در مدل‌ سازی و تعریف آن به ما کمک می‌ کند تا ویژگی‌ های سطح زمین را بهتر درک کنیم.

در این مقاله به‌ طور جامع به بررسی مفهوم سطح مبنای ژئوئید، اهمیت آن در نقشه‌ برداری و سیستم‌ های موقعیت‌ یابی و ارتباط آن با دستگاه‌ های مختلف مانند جی پی اس دستی، کابل تخلیه GEV267 و جی پی اس سینگولار می پردازیم.

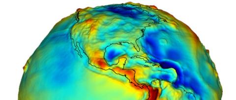
ژئوئید و سطح مبنای آن چیست؟

ژئوئید به سطحی گفته می‌ شود که در آن نیرو های گرانشی زمین در وضعیت تعادل قرار دارند و در نتیجه سطح آب دریا ها بدون تاثیر جزر و مد، امواج یا جریان‌ ها به صورت ثابت باقی می‌ ماند. این سطح در واقع همان سطح مرجعی است که برای اندازه‌ گیری‌ های ارتفاعی و عمقی استفاده می‌ شود. به عبارت دیگر ژئوئید در مقیاس جهانی به‌ عنوان سطحی مبنا برای تعیین ارتفاع‌ های واقعی زمین از سطح دریا است.

در علم نقشه‌ برداری سطح مبنای ژئوئید می‌ تواند به‌ عنوان مرجعی برای تعیین موقعیت‌ های عمودی و همچنین اندازه‌ گیری‌ های دقیق زمین‌ شناسی به کار رود. این سطح فرضی به‌ عنوان مرجع اصلی در سیستم‌ های موقعیت‌ یابی و اندازه‌ گیری‌ های دقیق جغرافیایی به شمار می‌ آید.

اهمیت سطح مبنای ژئوئید در نقشه‌ برداری و موقعیت‌ یابی

سطح مبنای ژئوئید در مقیاس‌ های مختلف کاربرد دارد، اما یکی از مهم‌ ترین کاربرد های آن در سیستم‌ های موقعیت‌ یابی و نقشه‌ برداری است. در سیستم‌ هایی مانند GPS که برای محاسبه موقعیت‌ های جغرافیایی و تعیین ارتفاعات استفاده می‌ شوند معمولاً ارتفاع‌ ها نسبت به سطح مبنای ژئوئید محاسبه می‌ شوند.

این عمل به‌ ویژه برای به دست آوردن ارتفاع‌ های دقیق در پروژه‌ های نقشه‌ برداری، مهندسی، ساخت و ساز و علوم محیطی بسیار ضروری است.

 

اهمیت سطح مبنای ژئوئید در نقشه‌ برداری و موقعیت‌ یابی

دستگاه‌ ها و فناوری‌ های مرتبط با ژئوئید

در زمینه تعیین موقعیت‌ های دقیق و اندازه‌ گیری ارتفاع‌ ها، دستگاه‌ ها و فناوری‌ های مختلفی وجود دارند که به‌ طور مستقیم یا غیر مستقیم با سطح مبنای ژئوئید ارتباط دارند. در این قسمت به بررسی سه فناوری پر کاربرد در نقشه‌ برداری و موقعیت‌ یابی می‌ پردازیم. این سه فناوری شامل جی پی اس دستی، کابل تخلیه GEV267 و جی پی اس سینگولار می باشد.

جی پی اس دستی:

جی پی اس دستی یکی از ابزار های ساده و در عین حال قدرتمند برای تعیین موقعیت در فضای باز است. این دستگاه‌ های کوچک و قابل حمل قادرند تا اطلاعات دقیق موقعیت مکانی را با استفاده از سیگنال‌ های ماهواره‌ ای دریافت کنند. جی پی اس دستی معمولاً در نقشه‌ برداری‌ های سطحی، سفر های کوهنوردی، کشاورزی دقیق و دیگر فعالیت‌ های بیرونی به‌ کار می‌ رود.

یکی از کاربرد های مهم جی پی اس دستی در اندازه‌ گیری ارتفاعات از سطح ژئوئید است. این دستگاه‌ ها قابلیت اندازه‌ گیری ارتفاع نسبت به سطح دریا را دارند و به همین دلیل برای پروژه‌ هایی که نیاز به دقت در اندازه‌ گیری‌ های ارتفاعی دارند مناسب هستند.

کابل تخلیه GEV267:

کابل تخلیه GEV267 یکی از قطعات مهم در سیستم‌ های GPS است که برای تخلیه داده‌ ها از دستگاه‌ های موقعیت‌ یاب به سیستم‌ های کامپیوتری یا ذخیره‌ سازی استفاده می‌ شود. کابل تخلیه GEV267 معمولاً برای انتقال داده‌ های مربوط به موقعیت‌ های جغرافیایی، ارتفاع و دیگر اطلاعات مرتبط با ژئوئید از دستگاه‌ های جی‌ پی‌ اس به نرم‌ افزار های مربوطه مورد استفاده قرار می‌ گیرد.

در نقشه‌ برداری‌ های دقیق به‌ ویژه در پروژه‌ هایی که نیاز به اندازه‌ گیری ارتفاع نسبت به سطح ژئوئید دارند، کابل تخلیه GEV267 نقش اساسی در انتقال اطلاعات به کامپیوتر های مرکزی و تحلیل داده‌ ها ایفا می‌ کند.

جی پی اس سینگولار:

جی پی اس سینگولار یکی از مدل‌ های پیشرفته GPS است که از تکنولوژی‌ های نوین برای ارائه موقعیت‌ های دقیق و اندازه‌ گیری‌ های دقیق‌ تر استفاده می‌ کند. این دستگاه‌ ها معمولاً در پروژه‌ های خاص مانند نقشه‌ برداری‌ های علمی، بررسی‌ های زمین‌ شناسی و کشاورزی دقیق کاربرد دارند.

جی پی اس سینگولار می‌ تواند به‌ طور همزمان از چندین ماهواره برای دریافت سیگنال‌ های مختلف استفاده کند که باعث افزایش دقت در تعیین موقعیت‌ ها و ارتفاع‌ ها می‌ شود. این دستگاه‌ ها با ترکیب سیگنال‌ های GPS و مدل‌ های دقیق ژئوئید دقت بسیار بالایی را در محاسبات ارتفاعی ارائه می‌ دهند.

کاربرد سطح مبنای ژئوئید در پروژه‌ ها

کاربرد سطح مبنای ژئوئید در پروژه‌ ها

سطح مبنای ژئوئید برای انجام پروژه‌ های مختلف در زمین‌ شناسی، مهندسی، نقشه‌ برداری و کشاورزی دقیق ضروری است. برخی از کاربرد های مهم آن عبارتند از:

نقشه‌ برداری دقیق: در پروژه‌ های نقشه‌ برداری نیاز است که ارتفاع‌ ها نسبت به سطح ژئوئید اندازه‌ گیری شوند تا موقعیت دقیق نقاط بر روی سطح زمین مشخص گردد.

 مهندسی و ساخت و ساز: در پروژه‌ های ساختمانی بزرگ برای طراحی و ساخت سازه‌ هایی مانند پل‌ ها، تونل‌ ها و برج‌ ها لازم است که ارتفاع‌ ها و موقعیت‌ ها نسبت به سطح ژئوئید محاسبه شوند تا اطمینان حاصل شود که سازه‌ ها در موقعیت صحیح قرار دارند.

کشاورزی دقیق: در کشاورزی دقیق اندازه‌ گیری دقیق ارتفاع‌ ها و موقعیت‌ ها به کشاورزان کمک می‌ کند تا زمین‌ های خود را به‌ طور بهینه مدیریت کرده و از منابع آبی به بهترین شکل ممکن استفاده کنند.

کلام آخر

سطح مبنای ژئوئید به‌ عنوان یک مرجع اصلی در اندازه‌ گیری‌ های ارتفاعی و موقعیت‌ یابی استفاده می‌ شود. دستگاه‌ هایی مانند جی پی اس دستی، کابل تخلیهGEV267 و جی پی اس سینگولار از ابزار های کلیدی در این زمینه هستند که به‌ طور موثری در انجام پروژه‌ های مختلف نقشه‌ برداری، مهندسی و علوم زمین‌ شناسی به‌ کار می‌ روند.

ژئوئید به ما این امکان را می‌ دهد که موقعیت‌ ها و ارتفاع‌ ها را با دقت بسیار بالا اندازه‌ گیری کرده و در پروژه‌ های مختلف به‌ طور موثری از این اطلاعات استفاده کنیم.

افزودن دیدگاه جدید

Restricted HTML

  • تگ‌های HTML مجاز: <a href hreflang> <em> <strong> <cite> <blockquote cite> <code> <ul type> <ol start type> <li> <dl> <dt> <dd> <h2 id> <h3 id> <h4 id> <h5 id> <h6 id>
  • خطوط و پاراگراف‌ها بطور خودکار اعمال می‌شوند.
  • Web page addresses and email addresses turn into links automatically.